“湘乡市曾国藩诗文岛体育公园改扩建项目规划方案”公示公告
2025-10-23 10:13:01
来源:湘乡市融媒体中心 | 编辑:王莉君 |
“湘乡市曾国藩诗文岛体育公园改扩建项目规划方案”已经经过湘乡市自然资源局审批例会及2025年市规委会第四期专题会审批,即将进入规划许可程序。根据《行政许可法》第四十条、《城乡规划法》第八条的相关规定,我局将该项目在行政许可前予以公示。公示日期:2025年10月23日至2025年10月31日,联系电话:、56822221,欢迎广大市民群众对规划方案提出建议意见。
湘乡市自然资源局
2025年10月23日
附项目基本情况:
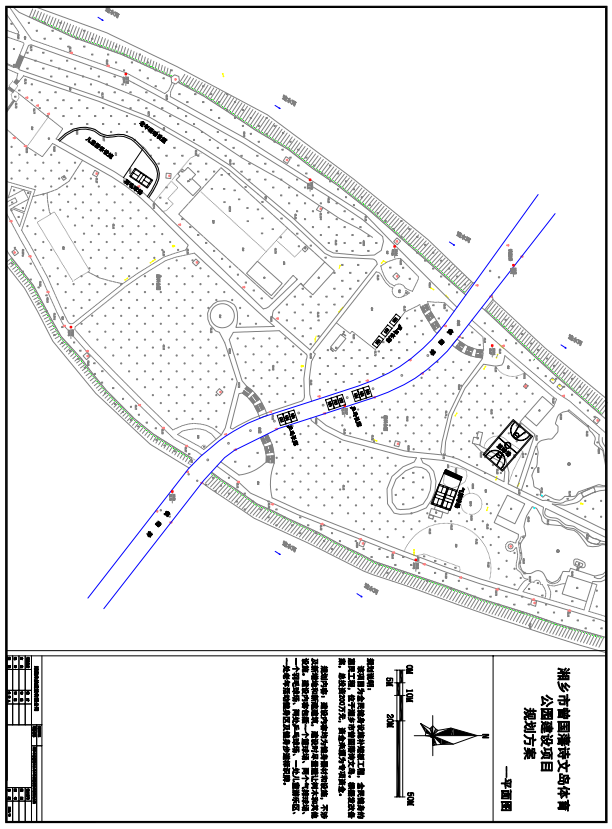
项目名称:湘乡市曾国藩诗文岛体育公园改扩建项目规划方案
建设项目位置:该项目为全民健身设施补短板工程,全民健身的惠民工程,位于湘乡市曾国藩诗文岛。根据发改备案,总投资200万元,资金来源为专项资金。
规划内容:建设内容均为健身器材和设施,不涉及新增地和新建建筑,建设时尽量避让树木和其他设施。建设内容包括一个篮球场、两个气排球场、一个羽毛球场、两处乒乓球场、一处儿童游乐区、一处老年活动健身区及健身步道标识牌。

责编:王莉君
来源:湘乡市融媒体中心
湘乡网特别推荐
时政要闻
-
!/ignore-error/1&pid=53090140 )
赵新文:坚持以人民为中心 提升城市宜居品质与安全保障水平
-
!/ignore-error/1 )
赵新文看望慰问一线环卫工人
-
!/ignore-error/1&pid=53030495 )
【改革创新年 全力拼经济】赵新文会见中国农业发展银行湘潭市分行行长赵涛一行
-
!/ignore-error/1 )
湘乡市召开第八届市委常委会第148次会议
-
!/ignore-error/1&pid=53002670 )
省市县三级人大代表调研秸秆还田工作 郭勇参加
-
!/ignore-error/1 )
致敬“城市美容师”!湘乡市召开环卫工人节座谈会
-
!/ignore-error/1&pid=52997150 )
百米长卷绘盛世!“春满龙城”书画盛宴点亮湘乡
-
!/ignore-error/1&pid=52962610 )
赵新文深入棋梓镇调研棚改工作:心系民生安危 加速推进“暖心工程”
推荐








